รหัสพรรณไม้ 7-30340-002-002/7

 
  ชื่อพื้นเมือง หูกวาง,โคน,ดัดมือ
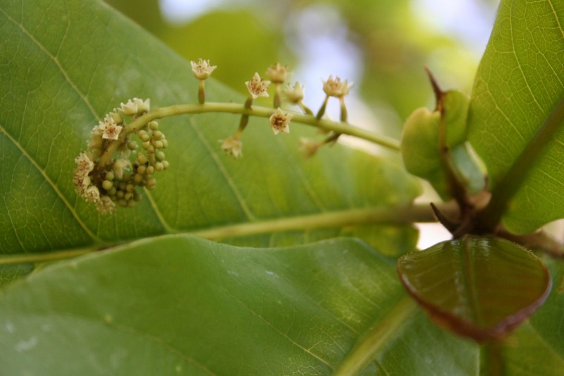
  ชื่อวิทยาศาสตร์ Terminalia catappa L.
  ชื่อวงศ์ COMBRETACEAE
  ลักษณะวิสัย ไม้ต้น
  ลักษณะเด่นของพืช ใบเดี่ยวรูปหอกปลายกว้างแหลมโคนสอบ ดอกสีขาวเป็นช่อ ผลรูปไข่หัวท้ายแหลมเป็นพู
  บริเวณที่พบในโรงเรียน หลังสวนพฤกษศาสตร์, หลังห้องสมุดและอาคารขุนนิยม
         
คลิกขยาย
ดับเบิลคลิกกลับสู่สภาพเดิม
         
ลำต้น
ใบ
ดอก
ผล
อื่น ๆ
         
เลื่อนเมาส์อยู่เหนือภาพเพื่อดูภาพขยาย ชี้อีกครั้งเพื่อกลับสู่ภาพเดิม
รายละเอียดอื่น ๆ เพิ่มเติม

ลักษณะ  :  เป็นไม้ยืนต้นขนาดกลาง  มีกิ่งก้านแตกแผ่ออกไปรอบต้นเป็นชั้นๆ
                   ดูคล้ายฉัตร  ถ้าต้นงามจะแตกแผ่ออกเป็น  2-3  ชั้น  สวยดี  ใบโตใหญ่
                   รูปลักษณะคล้ายหูกวางจริงๆ  แต่โตกว่าหูของกวาง  จึงเรียกว่าต้น
                   หูกวาง  ใบเขียวแก่และหนา  ใช้เป็นไม้ร่มดี  ดอกเป็นช่อเล็กๆ  ยาวๆ
                    แกมเขียวๆ  เหลืองๆ  มีผลเกิดจากดอกกลมเเบนๆ  มีสันขึ้นเป็นปีก
                    โดยรอบ  เมล็ดในโต  รับประทานได้เป็นอาหาร
การเจริญเติบโต  :  เป็นไม้ที่เกิดตามป่าราบทั่วๆไป  ปลูกตามบ้านตามวัด
                           เป็นไม้ร่มบังแดดได้ดี  เพราะใบมีพุ่มงาม  ขึ้นได้ในดินทุกภาคของ
                           ประเทศไทย  ขยายพันธ์ด้วยการเพาะเมล็ด
ประโยชน์  :  ใช้เป็นร่มไม้ได้ดีมาก  แต่ไม่ใคร่มีใครปลูกใกล้ตัวอาคารบ้าน
                     เรือน  ยิ่งเป็นตึกยิ่งไม่หน้าปลูก  เพราะเป็นไม้โตเจริญเร็ว  ร่กจะดันตัว
                     อาคารทำให้ตัวอาคารแตจกหรือร้าวเสียหายหมดใบแก่ให้สีขี้ม้าและนำมาใช้ในการย้อมผ้าได้
                     เมล็ด  นำเอามาทำเป็นอาหารรับประทานได้  ต้นหูกวางนี้มีชื่อทางการค้า
                     ว่า  indian almond.
                     ใช้รับประทานแก้ขัดเบา   แก้นิ่ว

informationข้อมูลจาก : http://www.chaiwbi.com/
guestbookลงชื่อ ติชม ในสมุดเยี่ยมชม